조황관리HOME / 조황관리 / 상세정보

제목 : 9일 격포 빅터호 개우럭 딱 기본만 했네요!
등록일 : 2026-01-10



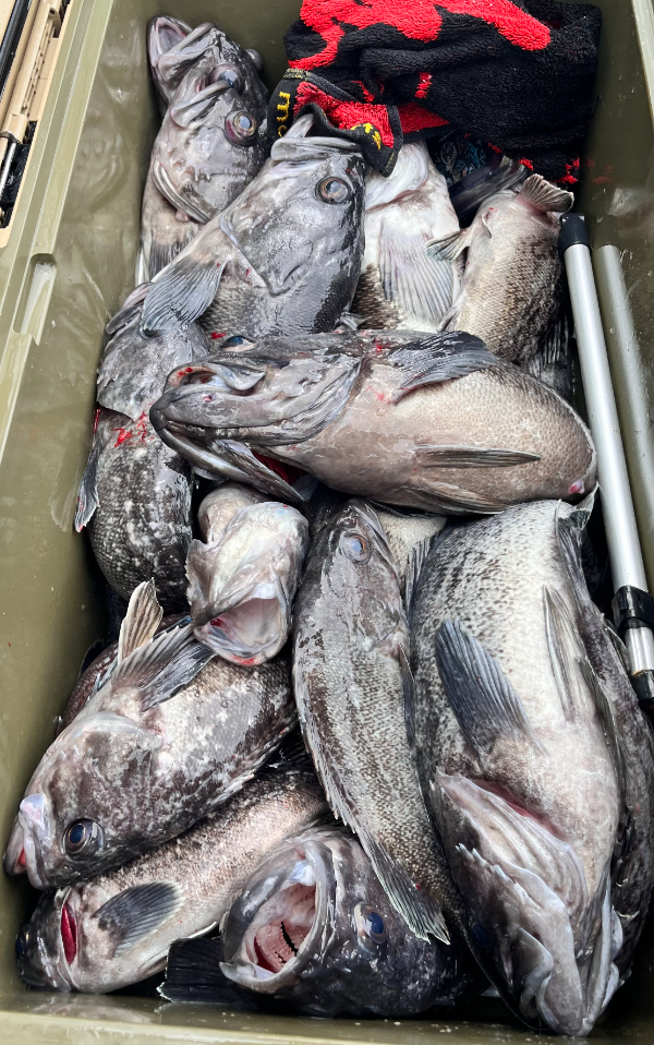
안녕하세요! 빅터호 송선장입니다.
오늘은 기상때문에 딱 기본만 했습니다.바람이 일찍 터지면서 빠른입항으로 딱 기본만 했네요.수온이 떨어지면서 6자5자도 많이 나오기
시작합니다.할배우럭들이 많이 모습을 보여 주네요
제일 많이 잡으신분이 21키로 대부분10키로내외부터 10키로 중반정도 잡으신것 같아요.
1000007231.jpg


1000007232.jpg


1000007233.jpg


1000007234.jpg


1000007235.jpg


1000007237.jpg


1000007238.jpg


1000007239.jpg


1000007240.jpg


1000007241.jpg


1000007242.jpg


1000007243.jpg


1000006865.jpg


1000006863.jpg
 




*** 격포 빅터피싱 예약 안내 ***


예약문의 : 010-5946-1299
오시는길 : 전북 부안군 변산면 격포리
홈페이지 : http://victor.sunsang24.com/

모바일.jpg 

Top